1/5
CHO THUÊ/ BÁN NHÀ XƯỞNG KCN BÀU BÀNG, BD 6.000m2
Giá thoả thuận
6.000 m2
•-
-
Phân tích đầu tư
Cho vay tới 100%
Xã Bàu Bàng, Thành phố Hồ Chí Minh
Thị trấn Lai Uyên, Huyện Bàu Bàng, Tỉnh Bình Dương ( Cũ )
22 giờ trước
Tin đã được kiểm duyệt
Báo cáo tin đăng
Tổng quan
CHO THUÊ/ BÁN NHÀ XƯỞNG – KCN BÀU BÀNG, BD – 6.000m2
Thông tin chi tiết
Vị trí: Khu Công Nghiệp Bàu Bàng, Tỉnh Bình Dương
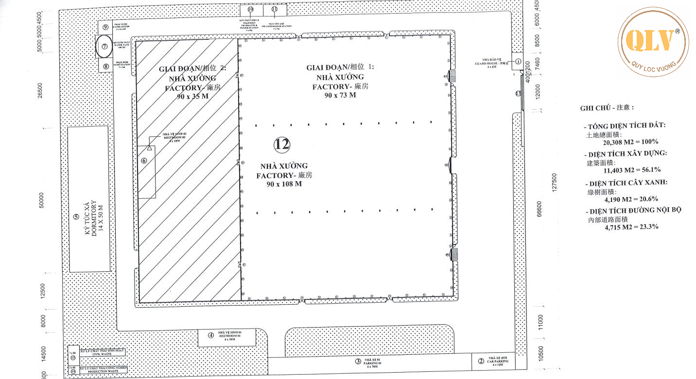
Tổng diện tích khuôn viên: 10.000m2
Tổng diện tích xây dựng: 6.000m2, bao gồm:
Nhà xưởng sản xuất: 6.000m2
Văn phòng & nhà xe: có sẵn, thiết kế hiện đại
Mật độ xây dựng: khoảng 65%
Trạm PCCC tự động đã thẩm duyệt
Đất SKK, đã đóng tiền sử dụng đất một lần
Tiện ích & hạ tầng
Nhà xưởng xây dựng kiên cố, thiết kế tối ưu cho hoạt động sản xuất và logistics
Hệ thống điện, nước, và PCCC tự động đạt tiêu chuẩn khu công nghiệp
Đường nội bộ rộng, xe container ra vào thuận tiện
Nằm trong KCN Bàu Bàng – khu công nghiệp lớn, hạ tầng đồng bộ, vị trí kết nối giao thông thuận lợi với TP.HCM, Bình Phước và các tỉnh miền Đông
Phù hợp cho nhiều loại hình: sản xuất, kho bãi, logistics hoặc đầu tư cho thuê
Để biết thêm thông tin chi tiết vui lòng liên hệ:
CÔNG TY TNHH MTV QUÝ LỘC VƯỢNG
Hotline:
Website: https://nhaxuongchinhchu.vn
Thông tin chi tiết
Vị trí: Khu Công Nghiệp Bàu Bàng, Tỉnh Bình Dương
Tổng diện tích khuôn viên: 10.000m2
Tổng diện tích xây dựng: 6.000m2, bao gồm:
Nhà xưởng sản xuất: 6.000m2
Văn phòng & nhà xe: có sẵn, thiết kế hiện đại
Mật độ xây dựng: khoảng 65%
Trạm PCCC tự động đã thẩm duyệt
Đất SKK, đã đóng tiền sử dụng đất một lần
Tiện ích & hạ tầng
Nhà xưởng xây dựng kiên cố, thiết kế tối ưu cho hoạt động sản xuất và logistics
Hệ thống điện, nước, và PCCC tự động đạt tiêu chuẩn khu công nghiệp
Đường nội bộ rộng, xe container ra vào thuận tiện
Nằm trong KCN Bàu Bàng – khu công nghiệp lớn, hạ tầng đồng bộ, vị trí kết nối giao thông thuận lợi với TP.HCM, Bình Phước và các tỉnh miền Đông
Phù hợp cho nhiều loại hình: sản xuất, kho bãi, logistics hoặc đầu tư cho thuê
Để biết thêm thông tin chi tiết vui lòng liên hệ:
CÔNG TY TNHH MTV QUÝ LỘC VƯỢNG
Hotline:
0931 769 ***
Website: https://nhaxuongchinhchu.vn
CHO THUÊ/ BÁN NHÀ XƯỞNG – KCN BÀU BÀNG, BD – 6.000m2
Thông tin chi tiết
Vị trí: Khu Công Nghiệp Bàu Bàng, Tỉnh Bình Dương
Tổng diện tích khuôn viên: 10.000m2
Tổng diện tích xây dựng: 6.000m2, bao gồm:
Nhà xưởng sản xuất: 6.000m2
Văn phòng & nhà xe: có sẵn, thiết kế hiện đại
Mật độ xây dựng: khoảng 65%
Trạm PCCC tự động đã thẩm duyệt
Đất SKK, đã đóng tiền sử dụng đất một lần
Tiện ích & hạ tầng
Nhà xưởng xây dựng kiên cố, thiết kế tối ưu cho hoạt động sản xuất và logistics
Hệ thống điện, nước, và PCCC tự động đạt tiêu chuẩn khu công nghiệp
Đường nội bộ rộng, xe container ra vào thuận tiện
Nằm trong KCN Bàu Bàng – khu công nghiệp lớn, hạ tầng đồng bộ, vị trí kết nối giao thông thuận lợi với TP.HCM, Bình Phước và các tỉnh miền Đông
Phù hợp cho nhiều loại hình: sản xuất, kho bãi, logistics hoặc đầu tư cho thuê
Để biết thêm thông tin chi tiết vui lòng liên hệ:
CÔNG TY TNHH MTV QUÝ LỘC VƯỢNG
Hotline:
Website: https://nhaxuongchinhchu.vn
Thông tin chi tiết
Vị trí: Khu Công Nghiệp Bàu Bàng, Tỉnh Bình Dương
Tổng diện tích khuôn viên: 10.000m2
Tổng diện tích xây dựng: 6.000m2, bao gồm:
Nhà xưởng sản xuất: 6.000m2
Văn phòng & nhà xe: có sẵn, thiết kế hiện đại
Mật độ xây dựng: khoảng 65%
Trạm PCCC tự động đã thẩm duyệt
Đất SKK, đã đóng tiền sử dụng đất một lần
Tiện ích & hạ tầng
Nhà xưởng xây dựng kiên cố, thiết kế tối ưu cho hoạt động sản xuất và logistics
Hệ thống điện, nước, và PCCC tự động đạt tiêu chuẩn khu công nghiệp
Đường nội bộ rộng, xe container ra vào thuận tiện
Nằm trong KCN Bàu Bàng – khu công nghiệp lớn, hạ tầng đồng bộ, vị trí kết nối giao thông thuận lợi với TP.HCM, Bình Phước và các tỉnh miền Đông
Phù hợp cho nhiều loại hình: sản xuất, kho bãi, logistics hoặc đầu tư cho thuê
Để biết thêm thông tin chi tiết vui lòng liên hệ:
CÔNG TY TNHH MTV QUÝ LỘC VƯỢNG
Hotline:
0931 769 ***
Website: https://nhaxuongchinhchu.vn
Liên hệ ngay:
0933 531 ***
Chi tiết
- Diện tích6.000 m2
- Pháp lý
- Số phòng ngủ-
- Hướng-
- Hẻm-
- Rộng x Dài-
- Số tầng-
- Số toilet-
- Mức giá-
- Giá đất-






























































